Šifra oglasa: RUMEJTOR-147

Pukovnika Milenka Pavlovića Plac na prodaju, Zemun, Batajnica, 2.160.000€

Šifra oglasa: RUMEJTOR-147
Beograd, Zemun, Batajnica - Pukovnika Milenka Pavlovića
Plac (zemljište) , prodaja, 216 ari, oglas ID RUMEJTOR-147

Cena:
2.160.000 €

10.000 €/m2

Klikni da pozoveš ili pošalješ poruku
Kontakt telefon
011 749 20 63

Kliknite i ostavite kontakt kako biste saznali kako ovaj stan možete kupiti uz pomoć stambenog kredita:

Cena:
Šifra oglasa:
Tip zemljišta:
Površina:
Uknjiženost:
2.160.000 €
RUMEJTOR-147
Plac
216 ari
Uknjižen
Oglas ažuriran: 24.02.2025 (15:06)
Oglas proveren: 17.04.2026 (01:30)

Opis oglasa:
Šifra oglasa:
RUMEJTOR-147
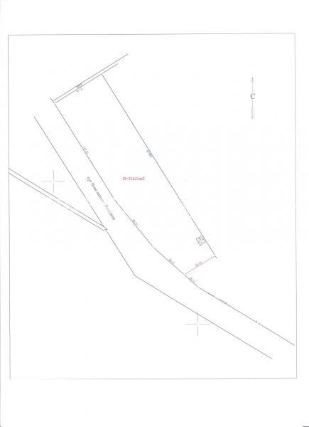
Građevinski plac u privrednoj zoni Batajnice uz magistralni put ka Pazovi (Novom Sadu) i budućeg kružnog toka i obilaznice sa direktnim priključenjem na E-70.
Voda, struja, kanalizacija.

Urađen idejni projekat za proizvodnu halu kao i mogućnost izgradnje hale "ključ u ruke".

Front 300m, širina placa 50-77m.

Stepen zauzetosti 50%
Indeks izgrađenosti 1.2
Adresa: Pukovnika Milenka Pavlovića
Klikni da pozoveš ili pošalješ poruku
Kontakt telefon
011 749 20 63
Prijavi grešku u oglasu

Kontaktiraj oglašivača
Prudens d.o.o. Beograd - profilna slika
Prudens d.o.o. Beograd
Šifra oglasa: RUMEJTOR-147
011 749 20 63
Broj u registru: 1065
Zakaži gledanje stana
Pitaj oglašivača
Selektuj šta te interesuje, oglašivač će ti odgovoriti u najkraćem roku:
Ostalo:
Kontaktiraj oglašivača
Prudens d.o.o. Beograd - profilna slika
Šifra oglasa: RUMEJTOR-147
011 749 20 63
Broj u registru: 1065