Šifra oglasa: RUMEJTOR-1710

Plac na prodaju, Bukovac, , 49.900€

Šifra oglasa: RUMEJTOR-1710
Novi Sad, Bukovac,
Plac (zemljište) , prodaja, 5 ari, oglas ID RUMEJTOR-1710

Cena (sniženo 12%):

 57.000 € 

49.900 €

9.980 €/m2

Klikni da pozoveš ili pošalješ poruku
Kontakt telefon
Klikni na dugme da vidis broj
062518545

Kliknite i ostavite kontakt kako biste saznali kako ovaj stan možete kupiti uz pomoć stambenog kredita:

Cena:
Šifra oglasa:
Tip zemljišta:
Površina:
Uknjiženost:
49.900 €
RUMEJTOR-1710
Plac
5 ari
Uknjižen
Oglas ažuriran: 16.07.2024 (04:26)
Oglas proveren: 09.11.2025 (16:25)

Opis oglasa:
Šifra oglasa:
RUMEJTOR-1710
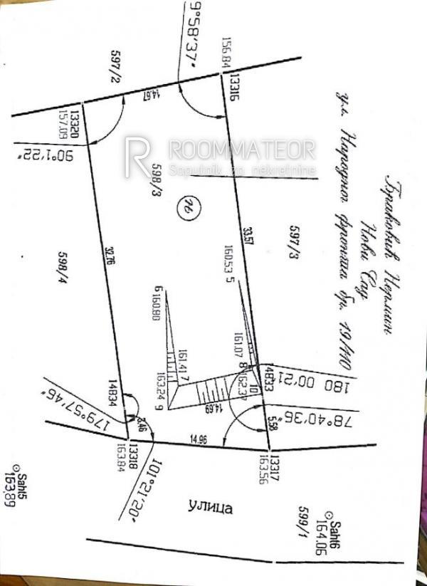
Gradjevinski plac 553m Bukovac Kosovska ulica za gradnju kuće
Lokacija: Bukovac (Srbija, Novi Sad)
Namena: Porodično stanovanje
Površina zemljišta: 553m2
Put do placa: Asfaltni put
Dodatne informacije
Struja, Gas

Tekst oglasa
Ekskluzivna prodaja

Oglasavamo prodaju, GRADJEVINSKI PLAC 553m na Fruskoj gori u mestu Bukovac, blizu Novog Sada, u urbanom delu naselja, Kosovska ulica , sva infrastruktuira je tu, struja, voda, gas . . .dozvoljena gradnja Su+Pr+1 porodična kuća. Za više informacija pozovite agenta 063518546

Ekskluzivno pravo prodaje Bombyx reg 217
Klikni da pozoveš ili pošalješ poruku
Kontakt telefon
Klikni na dugme da vidis broj
062518545
Prijavi grešku u oglasu

Kontaktiraj oglašivača
Bombyx - profilna slika
Bombyx
Šifra oglasa: RUMEJTOR-1710
Klikni na *** za prikaz broja telefona
062518545

Broj u registru: 217
Zakaži gledanje stana
Pitaj oglašivača
Selektuj šta te interesuje, oglašivač će ti odgovoriti u najkraćem roku:
Ostalo:
Kontaktiraj oglašivača
Bombyx - profilna slika
Šifra oglasa: RUMEJTOR-1710
Klikni na *** za prikaz broja telefona
062518545

Klikni na *** za prikaz broja telefona
063518546

Klikni na *** za prikaz broja telefona
0643187924

Broj u registru: 217